オフィシャルブログ

大ちゃん渡船 武丸 10月19日(日)磯釣り釣果

10月19日(日)天気 晴れ 中潮 水温24度

 

 

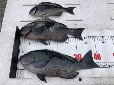
大台町 小林さま グレ 49㎝ 尾長グレ 44㎝

 

 

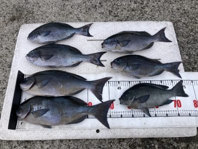
坂井市 高橋さま 尾長グレ 27㎝〜46㎝ 8匹

 

 

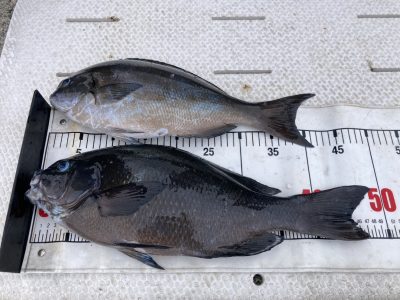
野洲市 中谷さま 尾長グレ 42㎝〜43㎝ 30㎝〜39㎝ 5匹

 

 

福井県 北川さま 尾長グレ 27㎝〜42㎝ 10匹他

 

 

東大阪市 西村さま グレ 29㎝〜39㎝ 3匹

 

 

橿原市 小谷さま オオモンハタ 48㎝

 

詳しくはホームページ内のアメブロもご覧ください!

お知らせ

この度の遊漁船等の法改正に伴い渡船組合で協議した結果、

5月から9月の磯、朝釣りの上り時間が12時となりました。

ご迷惑をお掛けしますが、ご理解とご協力を宜しくお願い致します。