オフィシャルブログ

大ちゃん渡船 武丸 10月27日(月)磯釣り釣果

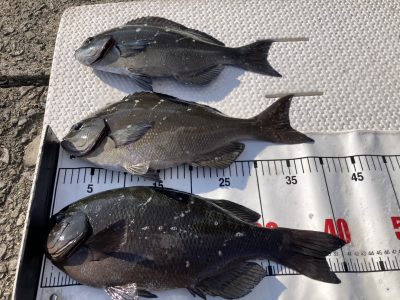
10月27日(月)天気 晴れ 小潮 水温23度

 

 

稲沢市 高野さま グレ 40㎝〜41㎝ 尾長グレ 27㎝〜39㎝ 12匹他

 

 

奈良市 今西さま 尾長グレ 40㎝〜41㎝ 29㎝〜35㎝ 4匹

 

 

奈良県 道田さま グレ 36㎝〜41㎝ 3匹

 

詳しくはホームページ内のアメブロもご覧ください!

お知らせ

この度の遊漁船等の法改正に伴い渡船組合で協議した結果、

5月から9月の磯、朝釣りの上り時間が12時となりました。

ご迷惑をお掛けしますが、ご理解とご協力を宜しくお願い致します。