オフィシャルブログ

大ちゃん渡船 武丸 11月13日(木)磯釣り釣果

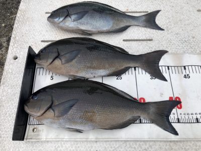
11月13日(木)天気 晴れ 小潮 水温22度

 

 

熊野市 赤阪さま 尾長グレ 40㎝〜42㎝ 3匹

 

 

松阪市 源崎さま グレ 40㎝〜41㎝ 39㎝

 

 

大阪府 杢尾さま グレ 34㎝〜41㎝ 11匹他

 

 

神戸市 内野さま 尾長グレ 35㎝〜40㎝ 4匹

 

詳しくはホームページ内のアメブロもご覧ください!

お知らせ

この度の遊漁船等の法改正に伴い渡船組合で協議した結果、

5月から9月の磯、朝釣りの上り時間が12時となりました。

ご迷惑をお掛けしますが、ご理解とご協力を宜しくお願い致します。