オフィシャルブログ

大ちゃん渡船 武丸 11月29日(土)磯釣り釣果

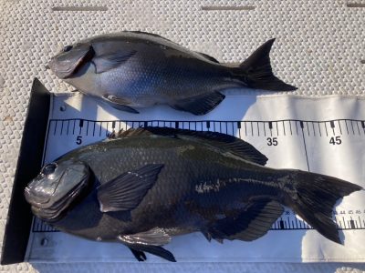
11月29日(土)天気 晴れ 長潮 水温20度

 

 

枚方市 小川さま グレ 47.5㎝ 尾長グレ 40㎝

 

 

吹田市 石塚さま グレ 41㎝他

 

 

和歌山市 上岡さま グレ 30㎝〜38㎝ 11匹

 

詳しくはホームページ内のアメブロもご覧ください!

お知らせ

この度の遊漁船等の法改正に伴い渡船組合で協議した結果、

5月から9月の磯、朝釣りの上り時間が12時となりました。

ご迷惑をお掛けしますが、ご理解とご協力を宜しくお願い致します。