オフィシャルブログ

大ちゃん渡船 武丸 12月5日(金)磯釣り釣果

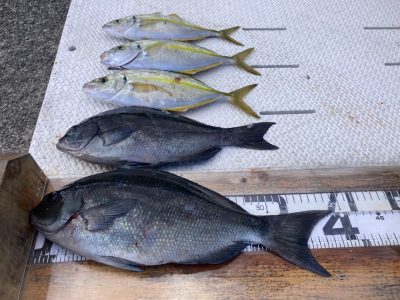
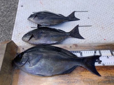
12月5日(金)天気 晴れ 大潮 水温19度

 

 

豊田市 大漉さま 尾長グレ 33㎝〜42㎝ 3匹

 

 

豊田市 佐藤さま グレ 33㎝〜39㎝他

 

 

大阪市 嶋田さま グレ 29㎝〜37㎝ 10匹

 

詳しくはホームページ内のアメブロもご覧ください!

お知らせ

この度の遊漁船等の法改正に伴い渡船組合で協議した結果、

5月から9月の磯、朝釣りの上り時間が12時となりました。

ご迷惑をお掛けしますが、ご理解とご協力を宜しくお願い致します。