オフィシャルブログ

大ちゃん渡船 武丸 4月22日(水)磯釣り釣果

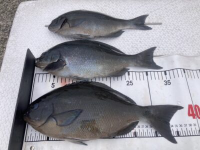
4月22日(水)天気 晴れ 中潮 水温16度

 

 

熊野市 赤阪さま グレ 32㎝〜37㎝ 3匹

 

詳しくはホームページ内のアメブロもご覧ください!

お知らせ

この度の遊漁船等の法改正に伴い渡船組合で協議した結果、

5月から9月の磯、朝釣りの上り時間が12時となりました。

ご迷惑をお掛けしますが、ご理解とご協力を宜しくお願い致します。