オフィシャルブログ

日別アーカイブ: 2025年11月4日

大ちゃん渡船 武丸 11月4日(火)磯釣り釣果

11月4日(火)天気 曇り 大潮 水温22度

 

 

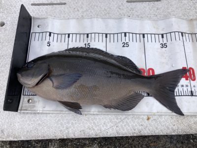
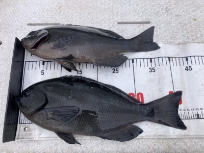
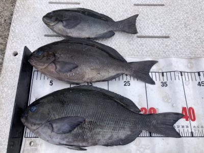
和歌山市 永春さま 尾長グレ 40㎝〜43㎝ 35㎝〜39㎝ 7匹

 

 

鈴鹿市 天川さま グレ 38㎝〜43㎝

 

 

三重県 武田さま 尾長グレ 40㎝〜41㎝ 3匹 35㎝〜39㎝ 8匹

 

 

日進市 村瀬さま 尾長グレ 40㎝〜41㎝ 34㎝〜39㎝ 6匹

 

 

津市 原田さま 尾長グレ 41㎝

 

 

東大阪市 山田さま グレ 30㎝〜39㎝ 3匹

 

詳しくはホームページ内のアメブロもご覧ください!

お知らせ

この度の遊漁船等の法改正に伴い渡船組合で協議した結果、

5月から9月の磯、朝釣りの上り時間が12時となりました。

ご迷惑をお掛けしますが、ご理解とご協力を宜しくお願い致します。