オフィシャルブログ

日別アーカイブ: 2026年1月21日

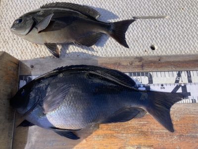
大ちゃん渡船 武丸 1月21日(水)磯釣り釣果

1月21日(水)天気 晴れ 中潮 水温15度

 

 

津市 やぶささま 尾長グレ 34㎝〜40㎝ 5匹他

 

 

八尾市 中村さま 尾長グレ 31㎝〜40㎝

 

詳しくはホームページ内のアメブロもご覧ください!

お知らせ

この度の遊漁船等の法改正に伴い渡船組合で協議した結果、

5月から9月の磯、朝釣りの上り時間が12時となりました。

ご迷惑をお掛けしますが、ご理解とご協力を宜しくお願い致します。