オフィシャルブログ

大ちゃん渡船 武丸 9月27日(土)磯釣り釣果

9月27日(土)天気 晴れ 中潮 水温25.5度

 

 

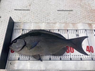
鈴鹿市 冨田さま 尾長グレ 34㎝〜44㎝ 3匹

 

 

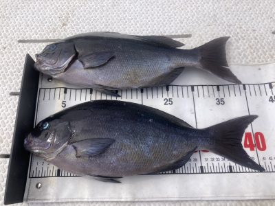
鈴鹿市 當さま 尾長グレ 40㎝〜41㎝

 

 

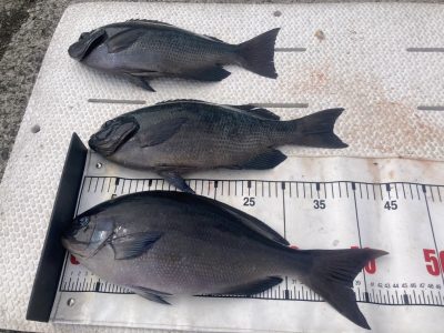
鈴鹿市 市川さま 尾長グレ 33㎝〜41㎝他

 

 

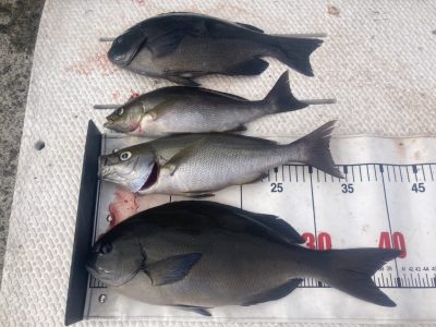
鈴鹿市 池田さま 尾長グレ 40㎝

 

 

和泉市 有村さま アカハタ 25㎝〜34㎝ 5匹ルアー

 

 

半田市 出口さま アカハタ 25㎝〜29㎝ 7匹他ルアー

 

詳しくはホームページ内のアメブロもご覧ください!

お知らせ

この度の遊漁船等の法改正に伴い渡船組合で協議した結果、

5月から9月の磯、朝釣りの上り時間が12時となりました。

ご迷惑をお掛けしますが、ご理解とご協力を宜しくお願い致します。