オフィシャルブログ

大ちゃん渡船 武丸 9月29日(月)磯釣り釣果

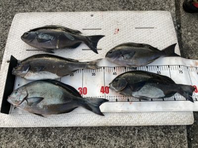
9月29日(月)天気 晴れ 小潮 水温25度

 

 

神戸市 内野さま 尾長グレ 40㎝〜42㎝ 4匹 38㎝

 

詳しくはホームページ内のアメブロもご覧ください!

お知らせ

この度の遊漁船等の法改正に伴い渡船組合で協議した結果、

5月から9月の磯、朝釣りの上り時間が12時となりました。

ご迷惑をお掛けしますが、ご理解とご協力を宜しくお願い致します。