オフィシャルブログ

大ちゃん渡船 武丸 11月19日(水)磯釣り釣果

1月19日(水)天気 晴れ 大潮 水温21度

 

 

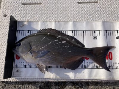
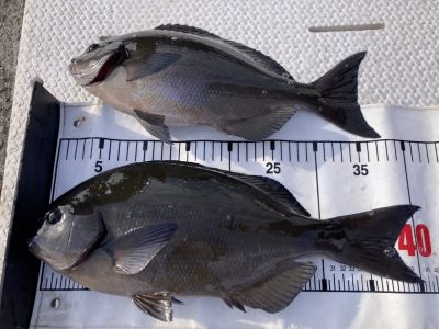
山口県 渡邊さま 尾長グレ 44㎝

 

 

八尾市 中村さま 尾長グレ 41㎝〜42㎝ 30㎝〜39㎝ 7匹

 

 

名古屋市 時田さま 尾長グレ 30㎝〜41.5㎝ 5匹

 

 

和歌山市 永春さま 尾長グレ 38㎝〜41㎝

 

詳しくはホームページ内のアメブロもご覧ください!

お知らせ

この度の遊漁船等の法改正に伴い渡船組合で協議した結果、

5月から9月の磯、朝釣りの上り時間が12時となりました。

ご迷惑をお掛けしますが、ご理解とご協力を宜しくお願い致します。