オフィシャルブログ

大ちゃん渡船 武丸 11月20日(木)磯釣り釣果

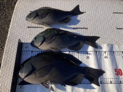
11月20日(木)天気 晴れ 大潮 水温21度

 

 

名古屋市 時田さま グレ 35㎝〜44㎝ 3匹

 

 

刈谷市 木落さま グレ 36㎝〜43㎝ 3匹

 

 

鈴鹿市 天川さま 36㎝〜40㎝ 3匹

 

 

稲沢市 高野さま 尾長グレ 34㎝〜40㎝ 3匹

 

 

木津川市 荷阪さま 尾長グレ 33㎝〜40㎝ 3匹

 

詳しくはホームページ内のアメブロもご覧ください!

お知らせ

この度の遊漁船等の法改正に伴い渡船組合で協議した結果、

5月から9月の磯、朝釣りの上り時間が12時となりました。

ご迷惑をお掛けしますが、ご理解とご協力を宜しくお願い致します。